地形圖的檢查、拼接與整飾
一、地形圖的檢查
地形圖的檢查包括圖面檢查、野外巡視和設站檢查。
- 圖面檢查
- 野外巡視
- 設站檢查
二、地形圖的拼接
當測區面積超過一定范圍時,必須分幅測圖,對于道路帶狀地形圖而言,每公里1幅圖,在相鄰兩圖幅的連接處都存在拼接問題。由于測量和繪圖的誤差,使相鄰兩 圖幅邊的地物輪廓線和等高線不完全吻合,在拼接處的地物、等高線都有偏差,當偏差在規定的范圍內時,可進行修正。
三、地形圖的整飾
- 地形圖清繪和整飾,圖面清晰、美觀、正確,驗收和原圖的保存。
- 地形圖整飾:擦掉圖中不必要的點、線;
- 對所有的地物、地貌都應按地形圖圖式的規定符號、尺寸和注記進行清繪;各種文字注記(如地名、山名、河流名、道路名等)應標注在適當位置,一般要求宇頭朝北,字體端正;
- 等高線應用光滑的曲線勾繪,等高線高程注記應成列,其字頭朝高處;
- 整飾圖框,注明圖名、圖號、測圖比例尺、測圖單位、測圖年、月、日等。
一、在圖上確定點的坐標
如圖所示,在地形圖上求得A 點的坐標值,通過A 點在地形圖的坐標格網上作平行于坐標格網的平行線mn、op ,按測圖比例尺量出mA 和oA 的長度,則點的平面坐標為:

式中:
—— A 點所在坐標格網中的坐標


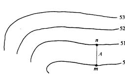
二、在圖上確定點的高程
A 點恰好位于圖上某一條等高線上,A 點的高程與該等高線高程相同。如圖所示A 點位于兩等高線之間,則可通過A 點畫一條垂直于相鄰兩等高線的線段mn,則A 點的高程為:
)
——通過m 點的等高線上的高程; h ——等高距。
由此可見,在地形圖上很容易確定A 點的空間坐標(
)。
三、在圖上確定直線的距離、方向、坡度
兩點的距離,先求出 兩點的坐標,則 兩點的距離為:
![]()
兩點直線的方位角為:
![]()
A、B 兩點直線的坡度為:
![]()
四、在圖上確定指定坡度的路線
地形圖上根據設計要求的坡度選擇路線的可能走向。
地形圖比例尺為1:1000,等高距為1m,要求從A 地到B 地選擇坡度不超過4%的路線。
五、繪制確定方向的縱斷面圖
根據地形圖可以繪制沿任一方向的斷面圖。
1.規定斷面圖的水平比例尺和垂直比例尺

2.按圖上AB 線的長度繪一條水平線,如圖中的ab 線,作為基線,確定基線所代表的高程,基線高程一般略低于圖上最低高程。
3.在地形圖上沿斷面線AB 量出 AA—1、1—2,…各段距離,并把它們標注在斷面基線ab 上,得1′2′…各段距離,通過這些點作基線的垂線,垂線端點按各點高程決定。
4.將各垂線的端點連接起來,即得到表示實地斷面方向的斷面圖。
六、確定匯水面積
- 匯水面積是指匯集某一區域水流量的面積。
- 匯水面積可由地形圖上山脊線的界線求得,用虛線連的山脊線所包圍的面積,就是過橋(或涵洞)M斷面的匯水面積。